Skip to content Skip to footer

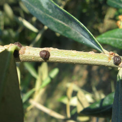
Tignola dell’ulivo

La Tignola dell’ulivo, Prays oleae, è un insetto appartenente alla famiglia Praydidae, in grado di creare danni all’olivicoltura. Può attaccare anche altre piante appartenenti alla famiglia delle Oleaceae, quali Ligustrum…

Read More

Tignola del pomodoro

La Tignola del pomodoro, Tuta absoluta, è un lepidottero, ovvero una farfallina, appartenente alla famiglia dei Gelechidi, originario dell’America meridionale. Vive preferibilmente su pomodoro, ma anche su altre specie di…

Read More

Sigario della vite

Il Sigaraio della vite (Byctiscus betulae) è un insetto dal nome alquanto curioso, molto diffuso nei vigneti. Viene chiamato così a causa delle caratteristiche foglie arrotolate e secche, che sembrano…

Read More

Tignola del pesco

La Tignola del pesco, Cydia molesta, è un lepidottero, cioè una farfallina, appartenente alla famiglia dei Tortricidi, dannosa al pesco e ad altre Drupaceae, talvolta anche alle Rosaceae. L’adulto ha…

Read More

Rodilegno giallo

Il Rodilegno Giallo, Zeuzera pyrina, è un lepidottero, cioè una farfallina, appartenente alla famiglia dei Cossidi, che provoca danni a Pomacee, Drupacee e altri fruttiferi. L’adulto ha un’apertura alare variabile…

Read More

Psilla del pero

La Psilla del pero, Cacopsilla pyri, appartenente alla famiglia degli Psillidae, è un insetto molto diffuso su pero, in grado di compiere notevoli danni a frutti, foglie e germogli. E’…

Read More

Psilla del fico

La Psilla del fico, Homotoma ficus, è un insetto appartenente alla famiglia degli Psyllidae che vive preferibilmente su fico. E’ un moscerino lungo circa 4mm, col corpo di colore giallo-ocra…

Read More

Coleottero giapponese

Il Coleottero giapponese, Popillia japonica, è un insetto coleottero appartenente alla famiglia dei Rutelidae, originario del Giappone. L’adulto, lungo circa 1cm, è caratterizzato da una livrea di colore verde con…

Read More

Piralide del bosso

La Piralide del bosso (Cydalima perspectalis) è una farfallina, o lepidottero, appartenente alla famiglia Piralidae, originaria del continente asiatico. Purtroppo, in anni recenti, si è diffusa anche in Europa e…

Read More